Facebook
Instagram @vvv_linksrheinsch

- Offener Brief im November 2018 -

Belsenplatz und Luegallee: Gut geplant?


Sehr geehrte Frau Zuschke,

Belsenplatz und Luegallee sollen zur Baustelle werden. Trotz Baulärms: Wir freuen uns auf

ein hoffentlich bürgerfreundliches Ergebnis!

Wir, das sind folgende im linksrheinischen Düsseldorf aktiven Bürgerinnen und Bürger,

Fachleute und Vereine:

• BDA Bund Deutscher Architekten – Ortsgruppe Düsseldorf

Keyworker Oberkasselplus

• VVV Verkehrs- und Verschönerungsverein für das linksrheinische Düsseldorf

• Landschaftsarchitektin und Anwohnerin Dipl.-Ing. Hiltrud M. Lintel

• Verkehrsplaner, Stadtplaner und beruflich Oberkasseler Dipl.-Ing. Hans-Rainer Runge


Im Stadtteil sind unsere Ideen für den Belsenplatz und die Luegallee seit Jahren bekannt. Nun

kommt Bewegung in die Planung. Die Rheinbahn hat in diesem Herbst Varianten für

Hochbahnsteige am Belsenplatz veröffentlicht und vor Ort in einem Infocontainer ausgestellt.

Die jetzige Planung besteht hauptsächlich aus einem Hochbahnsteig. Der Belsenplatz ist ein

ungelöster Verkehrsknotenpunkt. Die Neubauten am Belsenpark (Wohnungen, Büros und ein

großes Hotel) lösen zusätzlichen Verkehr aus. Die Flächen für die Fußgänger und deren

Aufenthalt werden stiefmütterlich behandelt. Die Fahrradwegeplanung ist weiträumig unklar

und wirkt konzeptlos. Die Luegallee als städtebauliches Denkmal der Gründerzeit und

schutzwürdiges Rückgrat Oberkassels verträgt keine beliebigen Eingriffe.


Thesen zur Umplanung des Belsenplatzes und der Luegallee

1. Lebensqualität - Schaffung sicherer und stadtteiltypischer Aufenthaltsqualitäten

2. Verkehr - Moderne Balance zwischen den Verkehrsteilnehmern

3. Umfeld - Belsenplatz und alle dahinführenden Straßen mitdenken

4. Bürgerbeteiligung - Mehrstufige Bürger/-innenbeteiligung im Planungsprozess

5. Wettbewerb - Weiterführung der Planung in einem interdisziplinären Gestaltungswettbewerb


Offene Fragen, die aus unsere Sicht zu klären sind:


1. Lebensqualität

• Wie können Belsenplatz und Luegallee als städtebauliche Unikate zeitgemäß weiterentwickelt werden? Zeitzeugnisse zahlreicher Stilepochen seit Düsseldorfs Aufschwung zur Großstadt prägen den Stadtteil – allein der Belsenplatz wird von 10 Einzeldenkmälern umgeben. 

• Wie erhält der Belsenplatz eine Aufenthaltsqualität für alle Nutzergruppen? Eine öffentliche Fläche von ca. 10.000 qm Fläche hat eine hohe soziale Bedeutung. Vermeintliche Zwänge von Verkehr und Funktion müssen hinterfragt werden. Verkehr sollte eine dienende Funktion haben.

• Nutzen Sie die Chance für eine qualitätvolle Platzgestaltung z.B. durch

o Entfrachtung des Stadtraumes von überflüssigen Ausstattungselementen und Einbauten?

o Entwicklung eines hochwertigen, stadtteiltypischen Pflaster-, Material- und Ausstattungskatalogs?

o Blickachsen?

o Beleuchtung?

o Schutz und Ergänzung prägender Gehölzstrukturen und charakteristischer Einzelbäume, auch als wertvolle Schattenspender?

• Wie geht es weiter mit der Luegallee, nicht nur als Verkehrsachse, sondern als historisch gewachsener Stadtraum? Wie sieht die Stadtraumgestaltung der zum Belsenplatz führenden Straßen aus?

• Wie wirken Hochbahnsteige mitten in der Luegallee? Wie erhält man den Allee-Charakter? Wie kann die Aufenthaltsqualität z.B. mit breiteren Bürgersteigen erhöht werden?


2. Verkehr

• Wie sieht eine Planung aus der Perspektive des Menschen aus, nicht aus „Windschutzscheiben-Perspektive“ und nicht auf Kosten von Fußgängern, Fahrradfahrern und Klima?

• Entsprechen die Zugänge zum Hochbahnsteig den zu erwartenden Fußgängerverkehrsmengen? Ca. 90% der ca. 20.000 Fahrgäste pro Tag sind zum Belsenplatz mit seinem sternförmigen Straßenverteilernetz und den Bushaltestellen gerichtet, ca. 10% zur Luegallee in Richtung Barbarossaplatz.

• Wie sieht das Radwegekonzept aus?


3. Umfeld

• Der Belsenplatz verbindet den historischen Teil Oberkassels mit dem modernen Teil (Belsenpark). Bietet sich die Chance, das Planungsgebiet in Richtung Hansaallee zu erweitern und diese Verbindung attraktiver zu gestalten?

• Wie wird die Verkehrsgestaltung der einmündenden Straßen einbezogen, z.B. bis zur Einmündung der Schanzenstraße in die Belsenstraße? Wie sehen hier die zukünftigen Querungen aus?


4. Bürgerbeteiligung

• Wie stellen Sie sich im weiteren Verlauf die Beteiligung der Bürger/-innen vor?


5. Wettbewerb

• Der beste Weg für eine hohe Qualität sind interdisziplinäre Gestaltungswettwerbe. Wie kann ein solcher Wettbewerb für Belsenplatz und Luegallee aussehen?

• Könnte ein Gestaltungswettbewerb auch für Hochbahnsteige stattfinden? Müssen Hochbahnsteige überall exakt gleich aussehen?

• Wie können Künstler/-innen im Sinne von Kunst am Bau am Wettbewerb beteiligt werden?


Wir begreifen die anstehenden Veränderungen als Chance, die seit langer Zeit drängenden städtebaulichen, gestalterischen und funktionalen Probleme des Belsenplatzes und angrenzender Straßenräume mutig und ganzheitlich anzugehen. Die komplexe Aufgabenstellung erfordert einen integrierten Ansatz über eine rein verkehrliche Betrachtung und das Planen von Hochbahnsteigen und Schutzstreifen hinaus. Gute Planung braucht Zeit und Akzeptanz!


Sehr geehrte Frau Zuschke, aus unseren vielfältigen Anmerkungen können Sie entnehmen,

wie sehr uns daran gelegen ist, dass der geplante Umbau des Belsenplatzes und der Luegallee zu einem Erfolg und Gewinn für das linksrheinische Düsseldorf wird. Wir würden uns sehr freuen, wenn Sie unser Schreiben als Einladung zu einem Dialog mit Ihnen sehen.

Einem Terminvorschlag Ihrerseits zum persönlichen Austausch sehen wir mit Freude entgegen.


Mit freundlichen Grüßen


für die Stadtteilbotschaft des BDA D’dorf: Bettina Bertossi, Georg Döring und Anno Lingens

für die Keyworker Oberkasselplus: Rosi Apitz, Annette Klotz und Joachim Siefert

für den VVV: Georg Eiker, Marcus Dinslage und Markus Loh

H. Lintel und H.-R. Runge

Was geschieht am Belsenplatz

 12 October 2006

Der VVV stellt seine Pläne vor!


Die Architekten im VVV haben stets gefordert, dass der Belsenplatz in die Planung für das ehemalige Güterbahnhofsgelände einbezogen wird. Da die versprochene Machbarkeitsstudie der Verwaltung seit langer Zeit auf sich warten lässt, haben sie sich gemeinsam mit dem Landschaftsarchitekten Markus Loh Gedanken zur Umgestaltung des Platzes gemacht und stellen ihren Vorschlag zur Diskussion:


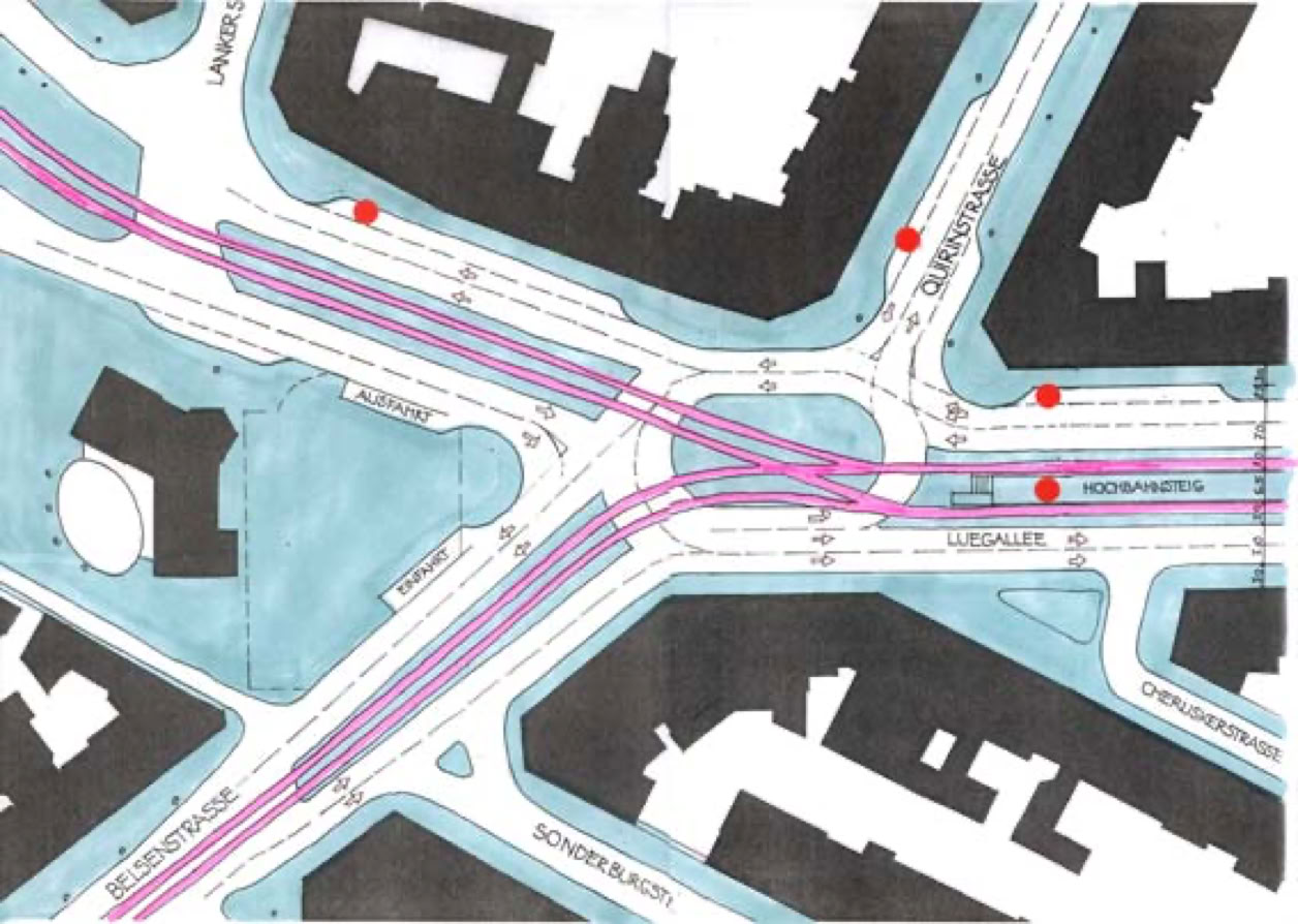
Standortanalyse

Der Belsenplatz ist ein Verkehrsknoten von 150m Länge und 100m Breite, der so angelegt ist, dass eine Gestaltung des Platzes praktisch unmöglich ist. Versuche, architektonische Akzente zu setzen gerieten zur Karikatur (Rheinbahnpavillon). Trotz riesiger Verkehrsflächen fehlen wichtige Funktionen: Linksabbiegen ist nicht möglich, was zur chaotischen Ersatzlösung am Barbarossaplatz führt, stark befahrene zweispurige Trassen werden plötzlich auf eine Spur reduziert (Belsenstraße, Ende Luegallee).

Noch schlimmer ist es um den ÖPNV bestellt: auf dem Platz befinden sich acht Haltestellen für Bahnen und Busse im Abstand bis zu 140m, beim Umsteigen sind lebensgefährliche Querungen erforderlich. Keine Haltestelle ist behindertengerecht (wie im gesamten Stadtteil).

Die Unwirtlichkeit des Platzes und das Fehlen von Parkplätzen hat auch dazu geführt, dass hier vier Gaststätten, davon drei alte Traditionslokale schließen mussten.


Anforderungen

Der Knoten muss entwirrt und so geordnet werden, dass freier Richtungsverkehr und eine befriedigende Gestaltung möglich ist. Haltestellen müssen reduziert, konzentriert und so angeordnet werden, dass zumindest die Bahnstationen behindertengerecht sind. Eine Umgestaltung des Platzes muss so erfolgen, dass der laufende Verkehr während der Umbauphase möglichst wenig behindert wird und der alte Baumbestand erhalten bleibt.

Parkplätze sollen entstehen.


Vorschlag Verkehrsführung Vorschlag Gestaltung / Vorschlag des VVV

Zwischen Luegallee 113 und Quirinstraße 1a werden die vorhandenen Fahrbahnen „aufgeweitet“, jedoch so, dass beiderseits ausreichend breite Gehwege verbleiben. Ähnlich wie bei einem Kreisverkehr werden die Straßen rings um eine ovalen Platz geführt. Ein Abbiegen in alle Richtungen ist möglich, eine zusätzliche Linksabbiegerspur verhindert Stau. Die vorhandene Ampelsteuerung kann fast unverändert beibehalten werden.


 Auch die Straßenbahntrasse bleibt fast unverändert. Lediglich auf der Luegallee (vor der Buchhandlung Gossens) wird ein Gleis so verschoben, dass zwischen den Schienen ein Freiraum von 6,50m entsteht. Hier soll ein mittiger Hochbahnsteig (ähnlich Station Tonhalle) und eine behindertengerechte gemeinsame Haltestelle für alle Straßenbahnlinien entstehen. Die beiden bisherigen Haltestellen einschließlich ihrer Bahnsteige entfallen zu Gunsten der angrenzenden Fahrbahnen. So wird die Belsenstraße wieder durchgehend zweispurig und am Ende der Luegalle entsteht eine zusätzliche Spur für einen Busbahnhof. Da das neu entstandene Oval freien Richtungsverkehr ermöglicht, kann die Zahl der Bushaltestellen reduziert werden.


Die breite Straße vor dem Alten Bahnhof entfällt. Es entsteht ein großer Vorplatz, der an den alten Bahnhof angebunden ist und unter dem eine Tiefgarage mit 70 Plätzen möglich ist.

Durch diese Maßnahmen erhält der Alte Bahnhof eine zentrale, bedeutende Lage. Der rückwärtige Biergarten wird auf die Vorderseite des Gebäudes verlegt, an seiner Stelle kann ein Bürgersaal entstehen, so dass das traditionsreiche Baudenkmal zum neuen Bürgerhaus (mit reduzierter Gastronomie) werden kann.


 Das „Tor“ zum geplanten Belsenpark ist nun mit der Luegallee verbunden. 

Die Rheinische Post hat die Vorschläge des VVV bereits in einem umfassenden Bericht gewürdigt. RP, 31. Oktober 2006